La Internacional de la Educación se solidariza con las víctimas de los recientes huracanes e inundaciones
La Internacional de la Educación ha lanzado una petición de acción urgente para ayudar a los docentes afectados por las condiciones climáticas extremas que han afectado a Bangladesh, el Caribe, y el sur de los Estados Unidos. La Internacional de la Educación pondrá 50,000 EUR a disposición de los y las colegas víctimas de los huracanes e inundaciones, y canalizará donaciones hacia las regiones afectadas.
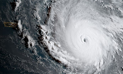
Hace menos de dos semanas, lluvias torrenciales causaron la destrucción de más de 100.000 viviendas en zonas rurales de Bangladesh. El pasado jueves, Irma, el huracán más poderoso de la historia, tocó tierra y causó catastróficos daños en las islas de Barbuda, Antigua, St. Kitts, St. Maarten, St. Barthelemy, las Islas Vírgenes Británicas Puerto Rico, Cuba y en el sur de Florida. En Estados Unidos, el desastre ha ocurrido apenas una semana después de que el huracán Harvey destruyera parte de Texas.
Según informes ya son 22 las personas que perdieron sus vidas en el Caribe, pero se espera que el número de víctimas sea mayor al momento en que se reestablezca la comunicación. De acuerdo a los primeros reportes, el 95% de la infraestructura en la isla de Barbuda ha sido destruido, y la misma situación se reporta en la porción francesa de la isla de St. Maarten.
El secretario general de la Internacional de la Educación, Fred van Leeuwen, ha estado en contacto con la Caribbean Union of Teachers (CUT), la organización regional de la Internacional de la Educación, que está volcada en obtener la mayor cantidad posible de información de las organizaciones miembro en las zonas más afectadas, así como en las afiliadas de los Estados Unidos. También se ha puesto en contacto con la Oficina Regional de Asia-Pacífico para saber más sobre los daños que haya sufrido el sistema educativo en Bangladesh tras las inundaciones de hace dos semanas.
Junto con la CUT, la Internacional de la Educación está coordinando una respuesta solidaria para asistir a sus compañeros y compañeras, así como a las afiliadas en la región. En una primera fase se proveerá asistencia directa a los y las trabajadores y trabajadoras de la educación y sus familias. Asimismo, la IE está en contacto con las organizaciones afiliadas en la región a fin de incrementar la capacidad de las organizaciones y restaurar el servicio educativo para todos y todas.
La Internacional de la Educación pondrá 50,000 EUR a disposición de los y las colegas víctimas de los huracanes e inundaciones.
Invitamos a todas sus organizaciones miembro a efectuar donaciones al Fondo de Solidaridad de la IE, cuyos datos son los siguientes:
Education International Solidarity Account
Bank name and address:
ING Bank
Avenue Marnix 24,1000 Brussels, Belgium
IBAN: BE05 3101 0061 7075
SWIFT/BIC: BBRUBEBB
Por favor, indiquen “Urgent Action Caribbean” en la comunicación
Los mensajes de solidaridad pueden ser remitidos a [email protected], quién los hará llegar a los y las colegas de Bangladesh, el Caribe y los Estados Unidos.
































